Vedci objavili podmorské hory vyššie než Gerlach. Skrývajú množstvo živočíchov
Máte vypnuté reklamy
Vďaka financiám z reklamy prinášame kvalitné a objektívne informácie. Povoľte si prosím zobrazovanie reklamy na našom webe. Ďakujeme, že podporujete kvalitnú žurnalistiku.
Zdroj: CSIRO - Austrálska národná vedecká agentúra
SYDNEY / Austrálske výskumné plavidlo objavilo unikátnu podmorskú oázu, ktorá je domovom pre mnoho živočíchov.
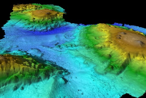
Austrálski vedci objavili podmorské horstvo, zložené z vulkanických hôr. "Stratený svet" sa nachádza asi 400 kilometrov od pobrežia Tasmánie. Týči sa do výšky 3 000 metrov, no k hladine mu ešte chýba asi 2 000 metrov. Vedci hovoria, že tento svet je plný života v rôznych formách.
Územie objavilo austrálske výskumné plavidlo Investigator počas svojej 25-dňovej plavby. Po zmapovaní vedci zistili, že hory sa od seba výrazne líšia štruktúrou i veľkosťou. "Je dôležité, že sme získali detailné mapy tejto oblasti. Pomáha nám to lepšie porozumieť a chrániť jedinečné morské oblasti. Tiež nám ponúka podklad pre ďalší výskum," informovala doktorka Tara Martin z tímu austrálskej národnej vedeckej agentúry. Podľa vedcov je nepochopiteľné, že niečo tak rozsiahle objavili až teraz. Hlavnou príčinou je fakt, že ľudstvo preskúmalo zatiaľ iba 20 percent oceánov.
Austrálski vedci objavili podmorský svet
Dáta preukázali, že nad oblasťou je zvýšený výskyt planktónu a iných živočíchov. "Táto oblasť bude jednoznačne domovom pestrého morského života," dodala doktorka. Doktor Eric Woehler z organizácie BirdLife Tasmania, ktorý sa tiež nachádzal na palube, bol ohromený množstvom živočíchov nad horami. "Približne 100 veľrýb rôzneho druhu nás prišlo navštíviť počas jedného dňa," povedal doktor Woehler. Vedci naznačujú, že táto oblasť by mohla byť zastávkou migrujúcich živočíchov, hlavne veľrýb. "Podmorské hory môžu zohrávať dôležitú úlohu pri migrácií podmorských živočíchov, keď sa presúvajú medzi letným a zimným obdobím," doplnil doktor Woehler.
Ďalší výskum bude v novembri a decembri tohto roku, keď sa Investigator do oblasti vráti. Vedci plánujú nahrať video podmorského života vo vysokom rozlíšení pomocou podvodných kamier. Odobrať chcú aj vzorky nerastov, aby lepšie pochopili ako podmorské horstvo vzniklo.
Vo Veľkom pacifickom koši pláva až o 16-krát viac odpadkov ako sme odhadovali, pozrite si viac: